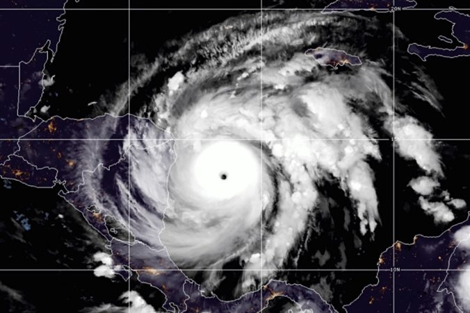
17.11.2020 (Webnoviny.sk) – Nikaraguu v pondelok zasiahol hurikán Jóta. Počas dňa prerástol do najvyššej piatej kategórie, ktorá označuje katastrofický stav.
Krátko pred kontaktom s pevninou ale ubral na sile a podľa údajov amerického Národného centra pre hurikány ju dosiahol ako hurikán stále veľmi nebezpečnej štvrtej kategórie.
Rovnakú silu mal aj hurikán Eta, ktorý v oblasti pustošil pred dvoma týždňami.
Hurikán Jóta udrel na pobrežie Nikaraguy asi 30 kilometrov južne od mesta Puerto Cabezas. Jeho maximálna rýchlosť bola 250 kilometrov za hodinu. Experti varujú, že hurikán môže zdvihnúť hladinu mora až o šesť metrov.
Hurikán Eta začiatkom novembra spôsobil smrť vyše 130 ľuďom. Vo viacerých častiach strednej Ameriky a Mexika viedli búrky a prietrže k záplavám a zosuvom pôdy.
Viac k témam: extrémne počasie, huriká Eta, hurikán Jóta
Zdroj: Webnoviny.sk – Hurikán Jóta zasiahol pobrežie Nikaraguy a dosiahol rýchlosť 250 kilometrov za hodinu © SITA Všetky práva vyhradené.